Huracán Melissa alcanza categoría cuatro de camino al Oriente de Cuba
Melissa evolucionó de tormenta tropical este sábado a huracán de categoría cuatro en un lapso menor a las 24 horas.
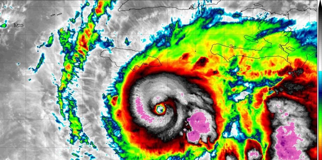
LIMA, Perú – El Instituto de Meteorología en Cuba emitió esta mañana el aviso de ciclón tropical número 12, informando que el huracán Melissa alcanzó la categoría cuatro en la escala Saffir-Simpson, de un máximo de cinco.
“Durante las últimas 12 horas ha continuado ganando en intensidad y experimentó un proceso de rápida intensificación, alcanzando vientos máximos sostenidos de 220 kilómetros por hora, con rachas superiores y su presión central descendió hasta 944 hectoPascal”, señala el comunicado.
A las seis de la mañana de este 26 de octubre la región central del huracán Melissa fue estimada en los 16.3 grados de latitud Norte y los 76.4 grados de longitud Oeste, posición que lo sitúa a unos 180 kilómetros al sur-sudeste de Kingston, Jamaica y a 415 kilómetros al sur de la ciudad de Santiago de Cuba.
Melissa evolucionó de tormenta tropical a huracán de categoría cuatro en un lapso menor a las 24 horas y actualmente se mueve con un rumbo próximo al oeste a una velocidad de traslación de siete kilómetros por hora.
De cara a las próximas horas, el huracán se moverá lentamente en las cercanías de Jamaica. El pronóstico indica que seguirá hacia el oeste y luego gire gradualmente al norte y nordeste en los próximos días para transitar muy cerca o sobre Jamaica, aproximándose el martes a Cuba por los mares al sur de la región oriental del país.
El Centro de Pronósticos del INSMET vigila el desarrollo de este huracán de gran intensidad. Las bandas externas de este sistema incrementarán gradualmente los nublados y las precipitaciones en la región oriental de Cuba. A partir de hoy se iniciarán fuertes marejadas en los mares al sur de las provincias de Granma, Santiago de Cuba y Guantánamo”, alerta el aviso.
Con motivo del inminente paso de Melissa, el Estado Mayor Nacional de la Defensa Civil en la Isla estableció este sábado la fase de Alerta desde las 15:00 horas para las provincias de Guantánamo, Santiago de Cuba, Granma, Holguín, Las Tunas y Camagüey y la Fase Informativa para las provincias de Ciego de Ávila y Sancti Spíritus.
Por su parte, Jamie Rhome, subdirector del Centro Nacional de Huracanes en EE.UU., advirtió que la movilidad lenta de Melissa “desafortunadamente” continuará durante otros tres o cuatro días, y pronosticó que el huracán estaría llegando a Cuba el próximo miércoles.
“Pero realmente la mayor cosa que hay que hablar aquí es de las lluvias extremadamente pesadas e inundaciones catastróficas que vendrán con la tormenta porque se está moviendo tan lentamente. Este movimiento lento va a causar realmente un problema”, alertó el experto previo al paso de Melissa por Jamaica.
